Trimble Business Center

 View Only
Expand all | Collapse all

Vertical Design - Cross dZ - Bug?

  • 1.  Vertical Design - Cross dZ - Bug?

    Posted 02-24-2020 12:22

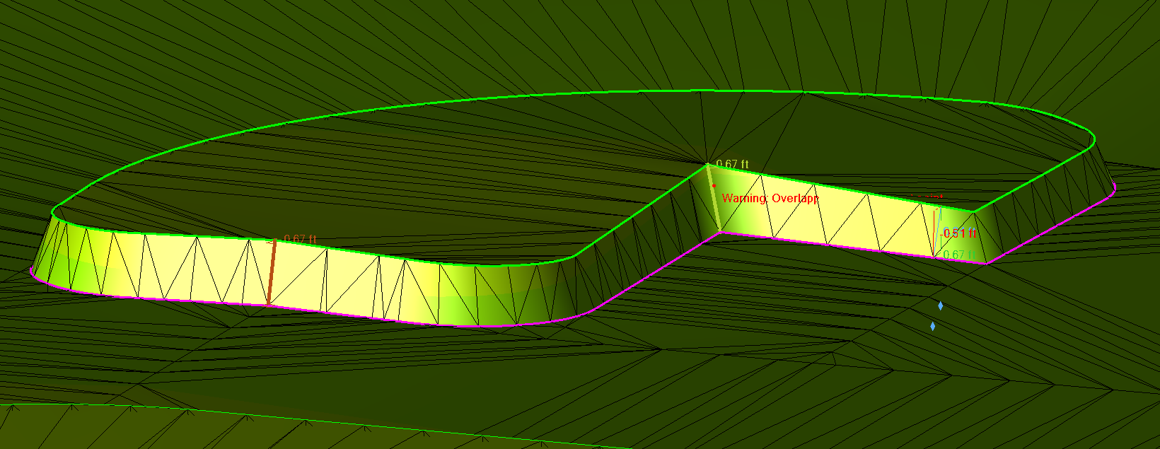
    no matter where I place the 0.67' cross dZ rule, it raises the back of curb 0.95 at inside corners (only). It appears the rest of the curb is correct at 0.67' beyond the closest vertices to the inside corners. I've noticed this at several areas in the project. The magenta line is locked and elevated. The green line is undefined. Both are part of the Vertical Design and a alternate surface. Also note that many of the inside corners do model correctly. Please advise.

      

     

     

     



  • 2.  Re: Vertical Design - Cross dZ - Bug?

    Posted 02-24-2020 13:25

    I have seen this as well. Try putting a free dz in these areas. Not ideal not it will help until this is addressed. I believe this is a bug.

     



  • 3.  Re: Vertical Design - Cross dZ - Bug?

    Posted 02-25-2020 09:10

    tried the free dz in the corner like you suggested. Unfortunately, it simply lowered the corner from 0.95' to the prescribed 0.67', then lowered the outside corner the .28' difference, then transitioned the top of curb line from that corner all the way around to the original cross dz at 0.67. Not good.

     

    I don't think the vertical design feature is quite ready for prime time as of yet and will be abandoning it's use until the issues are worked out. Hopefully they get it squared away soon as it seems like a very powerful feature provided the results are as expected. 

     



  • 4.  Re: Vertical Design - Cross dZ - Bug?

    Posted 02-25-2020 08:19

    Great tool for elevating back of curb though huh? Huge time saver!



  • 5.  Re: Vertical Design - Cross dZ - Bug?

    Posted 02-25-2020 08:25

    indeed - great tool for multiple things. Just need more time with it and the quirks worked out is all. 



  • 6.  Re: Vertical Design - Cross dZ - Bug?

    Posted 02-25-2020 10:18

    First: Are you running the Patch Update or are you running the 5.20 unpatched version as a few of these things were looked at in the Patch Update and we continue to improve the Vertical Design tool for the next big release in April (v5.3)

     

    I just built a Test Case in 5.2.10 Patch version and am seeing the following

     

    1. Using a cross slope of 33.3% around an inside corner of 90 degrees the delta z at all 3 points on the Target Line are 0.67 (.665, .666, ,667)
    2. Using a Cross Dz around the same inside corner I get the delta Z at 0.67 (.669, .670, .671) at all 3 points on the target line

     

    This has the effect of flattening the slope in the corner of the Curb Face but the Top of the curb is always ~.67' higher than the flow line - but it is kind of flat through the corner and doesn't follow inbound or outbound slopes of the curb flow line - however as you add more and more VPIs to the Source Line, the results can of course vary because this is using a Least Squares solution and not just doing simple offsets and slopes (so that it can handle complex Source lines incorporating Vertical Curves etc. but that math only comes in when the source is complex etc.)

     

    I am not seeing the spikes that you are seeing, but it could be to do with where the start points of the lines are placed and also where you have VPIs or Horizontal Control Nodes in your Source Lines that is making a difference here. Can you send me the Elevated Source Lines and the 2D Target Lines so that I can test this on your data. If I can recreate the issue that you are seeing I can get the dev team to look at it as I still sit in on their weekly meetings and can raise it with them.

     

    This is literally a "Corner Case" guys and I guess we need to know what you really want to happen at the inside corner because of the following

     

    1) On the source string there is one node at the inside corner and on the target string there are at least 3 nodes if it is an angular corner - we are I believe in 5.2.1 Patch holding the elevations through the corner ( we set a VPI at the two perp points and don't compute the inside corner point on the Target Line at all

     

    2) If you use Cross Slope the distance between the inside corner on the Source Line and the corner on the Target Line is longer than it is at the 2 perpendicular offsets to the corner so if you have a 2' offset and a 3:1 slope (.67 height delta at 2')  then at the corner where the distance is now 2.828 feet the elevation would be .941' as you have seen

     

    3) If you use Cross DZ of 0.67 then the elevation at all 3 nodes around the Target Line at the corner should be 0.67' higher than the corner on the source line depending on what the slopes of the Source line are doing but because the diagonal is longer than the perpendicular, this has the effect of changing the slope of the face through the corner 

     

    I would not use Free Slope or Free Dz here at all - that just complicates things.



  • 7.  Re: Vertical Design - Cross dZ - Bug?

    Posted 02-25-2020 11:16

    I'm currently using 5.20.2

    I would think setting the two perp points would be the way to go. 

     

    Project Files: Transfer - Dropbox