Thank you very much.
This is a bit too involved as there is "If" "else" instruction for each segment and can get pretty long in some cases.
The instruction type that may be more useful would be "Side Slope", wherein you provide options for a "Cut" or "Fill" from a given reference line. There is a "Slope by depth table" or a "Shareable slope table". (The "Slope by depth table" allows me to assign slope segments. I get challenged by the benches that is 0% slope. May be I can allow a millimeter in height and a corresponding bench width. This again fails to choose the Cut or Fill designation - and there is no "Target surface").
I thought one of these would support my need, but see some difficulties again.
If one of them supports me, it would be easy to create a repetitive segments table in a spreadsheet and assign it to a "Target surface".
Your thoughts please.
Thanks.
------------------------------
Saif Bin Darwish
------------------------------
Original Message:
Sent: 12-11-2022 15:10
From: Marian Plucinski
Subject: Create Sideslope with benches at inervals to terminate at a defined surface
Attached VCL
------------------------------
Marian
Original Message:
Sent: 12-11-2022 15:08
From: Marian Plucinski
Subject: Create Sideslope with benches at inervals to terminate at a defined surface
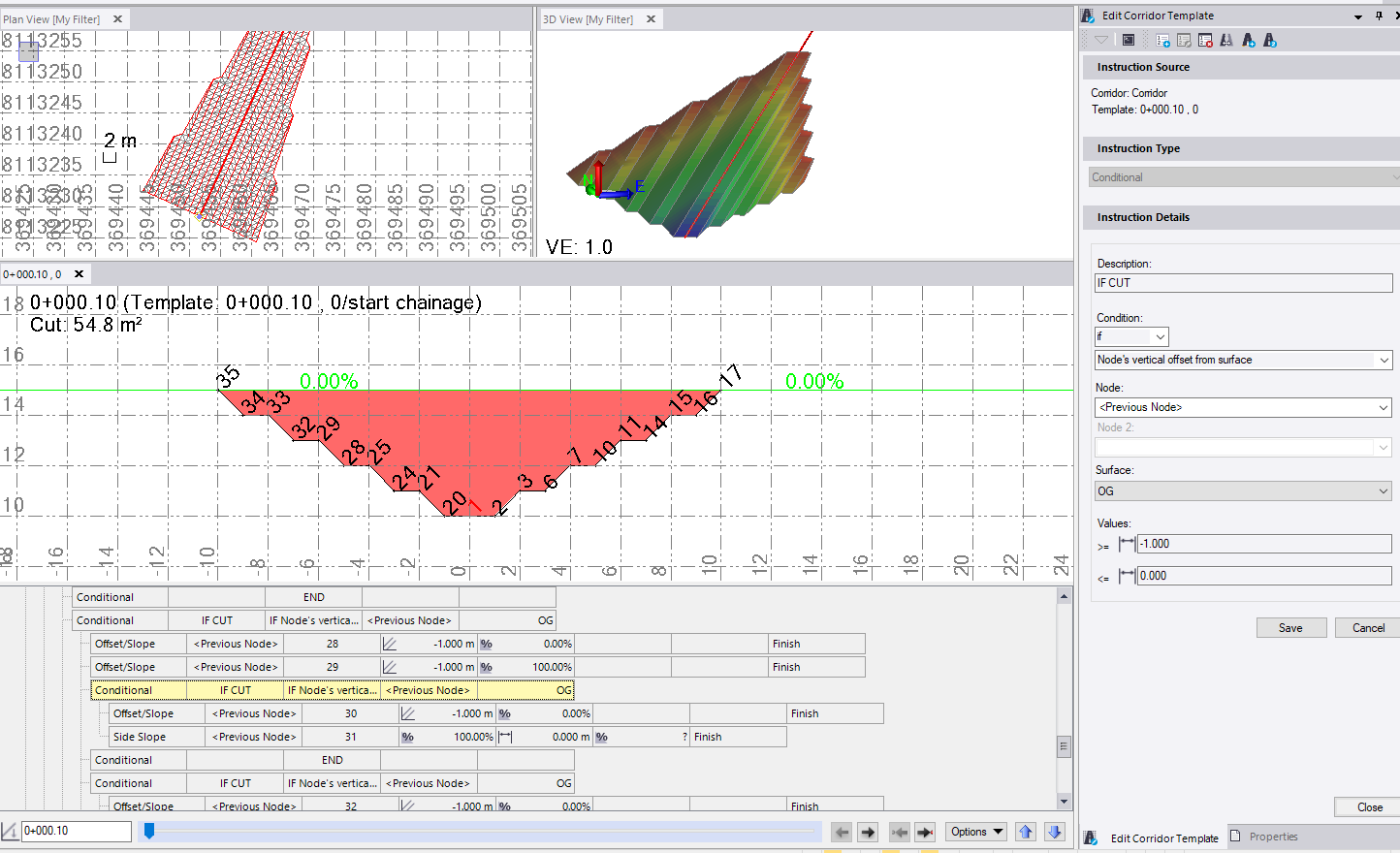
"IF"s. Lots of it.

------------------------------
Marian
Original Message:
Sent: 12-10-2022 23:48
From: Saif Bin Darwish
Subject: Create Sideslope with benches at inervals to terminate at a defined surface

I used to create a "Side Slope" template in Terramodel very easily.
I think I have done something similar in TBC also before.
I am unable to recall how I can create a single template to reflect the above.
Can some one lead the way.
Thanks.
------------------------------
Saif Bin Darwish
------------------------------